Belgica Vicus
Von Waldemar Haberey

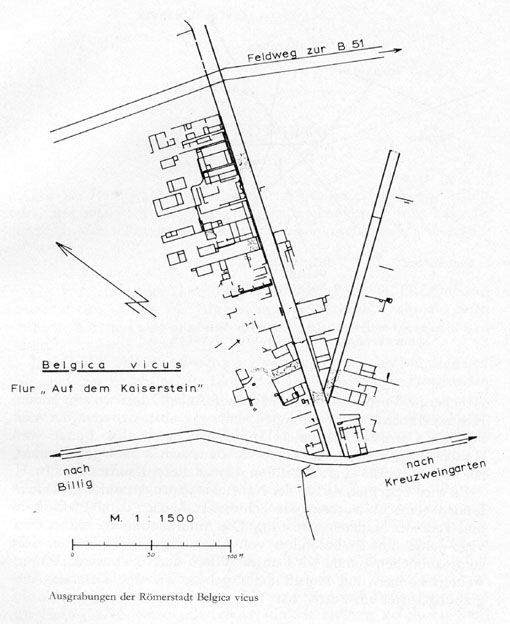
Das Itinerarium provinciarium Antonini Augusti, ein Verzeichnis von Reisestrecken in den römischen Provinzen aus der Zeit um 300 n. Chr. gibt die Längen einzelner Reiseetappen an. Eine Station Belgica vicus war danach von Marcomago vicus, dem heutigen Marmagen, 8 gallische Leugen zu je 2,200 km = 17,8 km entfernt. Man hat daher den Namen des Ortes Billig seit dem Jahre 1821 mit dem römischen Belgica gleichgesetzt, wenn auch die Entfernung in Wirklichkeit grob 23 km beträgt. Die Flur "Am Kaiserstein" zwischen Billig und Rheder war schon seit langem als Fundplatz römischer Altertümer wie Tonscherben, Ziegel, Mauerreste und anderem bekannt, bis dann in den siebziger Jahren des vorigen Jahrhunderts in größerem Ausmaß dort gegraben wurde. Das Ergebnis dieser Untersuchungen ist in einem seither oft veröffentlichten genauen Plan der aufgedeckten Grundmauern einer ganzen Reihe von Häusern festgehalten.

Am "Kaiserstein" kreuzen sich zwei Römerstraßen, die von Marmagen über Harzheim nach Metternich hinführende in nordöstlicher Richtung mit der von Zülpich westwärts am Bergrand entlang wahrscheinlich in Bonn endenden Querstraße.

Man könnte vermuten, daß im Flurnamen "Kaiserstein" die Erinnerung an einen dort aufgefundenen Meilenstein, welche oft Kaisernamen trugen, wachgehalten wird.

Die in der am Kaiserstein aufgedeckten Siedlung von Hausfront zu Hausfront 13 m breite Südwest-Nordoststraße ist dort auf 350 m freigelegt worden, dazu eine im spitzen Winkel abgehende schmälere Straße. Zu beiden Seiten dieser Straßenzüge waren die erhaltenen Grundmauern Zeugen einer engen Bebauung dieses römischen Siedlungsplatzes. Der Planausschnitt und die Grundrißform der Bauten lassen deutlich erkennen, daß es sich nicht um die Innenbauten eines römischen Militärlagers handeln kann. Wir befinden uns damit viel eher im Vorplatz einer militärischen Anlage, dort wo sich Läden, Handwerksbetriebe, Wohnungen und was alles sich mit der Zeit um eine Garnison ansammelt, angesiedelt hatten. Die Funde vom Kaiserstein stammen in der Hauptsache aus dem 2. bis 4. Jahrhundert, ein Beweis für die lange Besiedlungsdauer dieses Raumes.

Es wird berichtet, daß in der Nähe eine ganze Anzahl von Waffenfunden gemacht wurden, wie Schwerter, Lanzen- und Pfeilspitzen und Teile der Soldatenausrüstung. Die Aufarbeitung der seither über viele Jahre hinweg besonders von Museumsleiter T. Hürten dort aufgesammelten Funde wird unser Wissen auch hier wesentlich erweitern können und Anhalt dafür geben, wo eine klärende Ausgrabung später anzusetzen hat.

Entnommen: Kreuzweingarten - Rheder - Kalkar, 1969, Zeitbiografischer Verlag, Kreuzweingarten

Örtliche Untersuchungen und Berichte
© Copyright